Overview
One of the most striking developments in recent southern history has been the pace and scale of African American suburbanization. Delving into the history of black organizations, civic politics, race-based policies, class economics and neighborhood formation, Andrew Wiese examines the circumstances and motives accompanying African American suburban development in Atlanta from the early 1950s until the early twenty-first century. In his discussion of the Candler-McAfee neighborhood in south Dekalb County, Prof. Wiese considers how race and class have influenced the community as well as the landscape. Racial discrimination applied to the places where most African Americans live remains the most significant basis for persistent racial inequality. Southern suburbia proves to be in step with, if not at the cutting edge of, trends in African American residential patterns writ large across the country.
African American Suburbanization
Part 2: Dr. Wiese traces how Black suburbs faced intensified segregation and isolation from the post-WWII period through the 1960s
Part 3: Dr. Wiese discusses how Black neighborhoods grew primarily through new home construction during the post war period
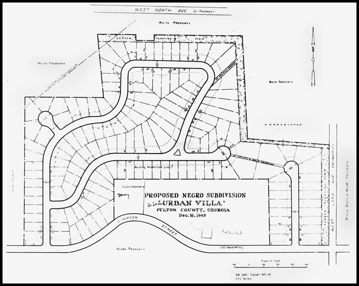
Part 4: Dr. Wiese refers to postwar growth on Atlanta’s west side to illustrate how self-contained Black neighborhoods emerged
Part 5: Dr. Wiese recounts how discrimination curbed the African American housing boom, leaving deep scars on the urban fabric
Part 6: Dr. Wiese discusses how highway construction and urban renewal in the late 1950s displaced many Black Atlantans
Part 7: Dr. Wiese describes long-term impacts of spatially-oriented discrimination
Part 8: Dr. Wiese describes how recent suburbanization in Atlanta and across the US continues to reinforce stark divides
| Figures Referenced: | ||||
![]() | ![]() | ![]() | ![]() | ![]() |
| Part 1 | Part 2 | Part 3 | Part 4 | Part 6 |
About Andrew Wiese
Andrew Wiese is a historian of American urban and social history. He received his PhD from Columbia University in 1993. Prof. Wiese’s areas of interest include the history of housing and residential landscapes, housing policy, suburbanization, and the spatial production of race and class. He is the author of Places of Their Own: African American Suburbanization in the Twentieth Century (2004), which won the American Culture Association's John G. Cawelti Book Prize. Wiese recently completed an edited volume of essays and documents on North American suburban history, The Suburb Reader (2006), co-edited with Becky Nicolaides.
Video of Prof. Wiese was taken at "The End of Southern Exceptionalism" conference held at Emory University in March of 2006, an event organized by Prof. Joseph Crespino of the Emory University History Department and Prof. Matt Lassiter of the Department of History at the University of Michigan at Ann Arbor.
Recommended Resources
Image
Links
Atlanta in the Civil Rights Movement
http://www.atlantahighered.org/civilrights/essay_detail.asp?phase=2
"Atlanta's Tumultuous Fifties Fifty Years Later." Southern Spaces, August 5, 2004.
Bullard, Robert D., Glenn S. Johnson, and Angel O. Torres. "Race, Equity, and Smart Growth: Why People of Color Must Speak for Themselves." Environmental Justice Resource Center, Sept. 28, 2000.
Kruse, Kevin. "White Flight: The Strategies, Ideology, and Legacy of Segregation." Southern Spaces, November 28, 2005.
White Flight: The Strategies, Ideology, and Legacy of Segregationists in Atlanta
Lacy, Karen. "Negotiating Black Identities." Southern Spaces, May 3, 2005.
Quesenberry, Preston. "The Disposable Olympics Meets the City of Hype." Southern Changes, Vol. 18 No. 2, (Summer 1996): 3-14.
http://southernchanges.digitalscholarship.emory.edu/sc18-2_1204/sc18-2_002/
Shea, Christopher. "Beyond the Picket Fence." The Boston Globe, July 23, 2006.
http://www.boston.com/news/globe/ideas/articles/2006/07/23/beyond_the_picket_fence/
Garreau, Joel. Edge City: Life on the New Frontier. New York: Doubleday, 1991.
Hayden, Dolores. Building Suburbia. New York: Vintage Books, 2004.
Jackson, Kenneth T. Crabgrass Frontier: The Suburbanization of the United States. New York: Oxford University Press (USA), 1987.
Sjoquist David L., ed. The Atlanta Paradox. New York: Russell Sage Foundation, 2000.
Timberlake, Jefferey M. "Still Life in Black and White: Effects of Racial and Class Attitudes on Prospects for Residential Integration in Atlanta." Sociological Inquiry 70(4), (2000): 420-445.
Wiese, Andrew. Places of Their Own: African American Suburbanization in the Twentieth Century. Chicago: University of Chicago Press, 2004.
Wiese, Andrew and Becky Nicolaides, eds. The Suburb Reader. New York: Routledge, 2006.
Wright, Gwendolyn. Building the Dream: A Social History of Housing in America. Cambridge, MA: MIT Press, 1983.
Wyly, Elvin K.and Steven R. Holloway. "The New Color of Money: Neighborhood Lending Patterns in Atlanta Revisited." Housing Facts and Findings 1(2), (Summer, 1999): 1-11.






